Not too bad a night's sleep, beer and earplugs work quite well. Our first dive is a bit of a disaster. Helen can't equalise so we're riding high in the water where the current is much stronger. Our guide, Pui again [from last night], has shot off leaving us to try to follow a trail of bubbles down to 27m but for me it's exhausting work. I seem to breathe too much at depth (below 10m) and when I'm doing my all to barely move against the current my hideously inefficient lungs are chucking air away. We catch up but after only 13 minutes I check my air and I've only 70bar (I've used 130 of my [usable] 150bar) and a few minutes later I'm down to the 50bar "time to stop, sonny" safety limit. Helen and I go up together [to the surface] a little narked because me being wasteful of air and our guide for leading us against the current before we'd reached the bottom where the current is much much less. There was precious little to see as well. Hmph!
The rest of the dives, though, are good and we mostly go with the current. At one site they have a brand new wreck in 15-30m of water where a liveaboard accidentally sank in August last year. At the moment it's only just beginning to be covered in slime but it manages to attract both curious fish and divers. [Apparently no one was injured as the customers were all off the ship diving at the time...]
There are some nice people on board who are convincing us to reach the Rescue Diver level of certification and to do technical deep diving courses. [Excerpt transposed from yesterday:] I get involved in a long conversation with an Israeli, now living in France, who's just asked me not to say anything about the conversation last night as he was drunk. Probably a wise request.
Sasson, our Israeli, is keeping people amused particularly with in every sentence he has to refer to his, surely mythical, wife, "My wife..." he says [pronounce in a French accent: Ma Why-fe...]
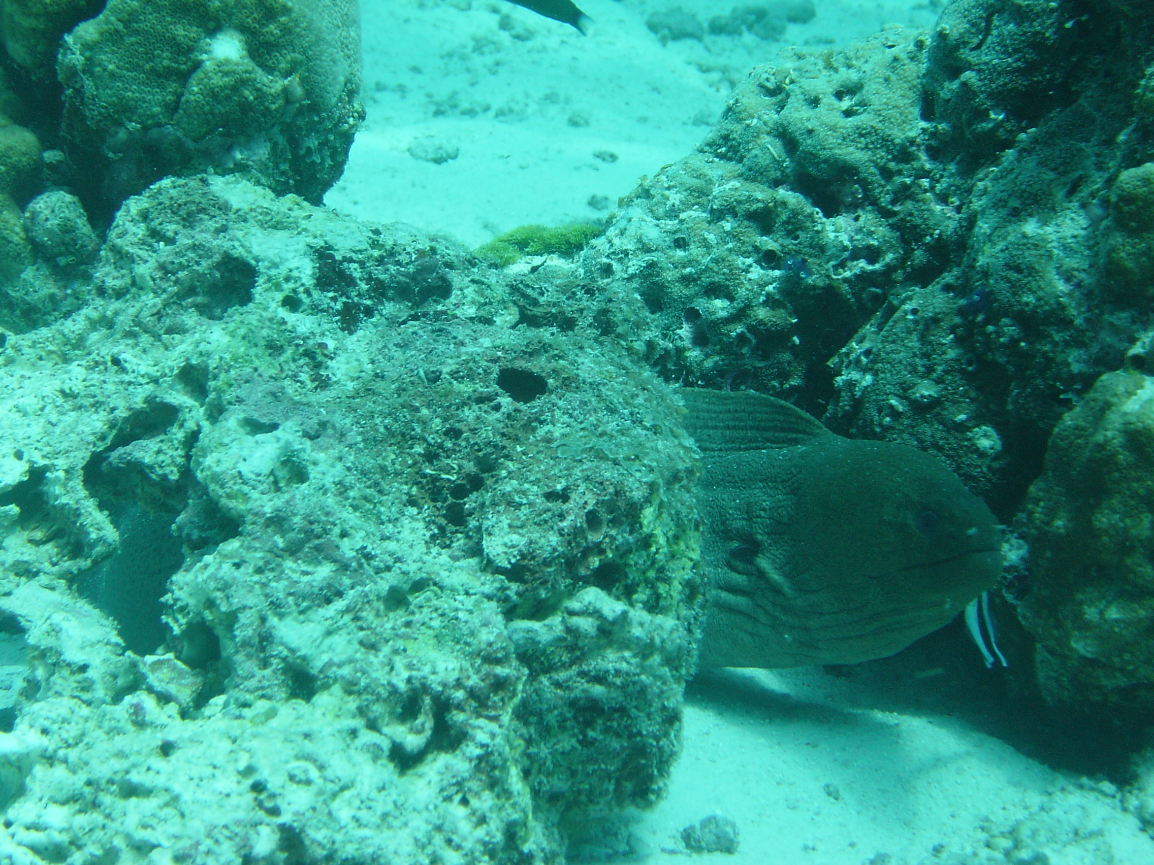
"My wife..." Large shrimp or lobster in a crevice in a boulder coral those fish again a rare shot of a giant moral eel out of a hole scorpionfish the same scorpionfish without the flash maybe the same scorpionfish from above scorpionfish fish closer fish little fish a rotten picture of a big old giant moray eel peering out, half hidden by him is a cleaner wrasse by his mouth a rare picture of a motionless rock hopping fish (too big for a goby)
The things you must suffer for your art are some ants, seafaring variety I conclude, and that the air con is on at night when you get too cold and off during the day when it gets too hot. There's a long gap (four or five hours) between the third dive and the night dive and we're anchored in the same very pleasant and popular bay as last night so they ferried us ashore for some R&R. We climbed to near the top of some boulders for a look see using the dangerous looking plank bridges and then a bit of splashing in the sea. my dive computer telling you the time was 14:51...it's not very well
[People got a bit excited taking pictures...] Cornelia, Markus, Helen, Sasson Cornelia and Markus Donald Duck Bay from the rocks visible in DSC00823.JPG Cornelia and Markus Cornelia and Markus Ian and Helen Sasson Donald Duck Bay - I think the South Siam 3 is the one in the dead centre Christmas Point/Breakfast Bend (two dive sites) Cornelia and Markus Cornelia and Markus
At the start of the night dive we saw a deadly scorpionfish which was a reminder to be careful what you touch. This adds an element to the dive especially when you're trying to look at things in nooks and crannies and lose your bouyancy and hit the ground. Yikes, was that just coral or the venomous spines of a fish?
NIGHT SHOT: spot the scorpionfish at night -- remember they've a potentially fatal venom if you can't see it NIGHT SHOT: little crabs hiding in coral -- see also the fishy looking out from under the rock NIGHT SHOT: zebra or banded lionfish
Foolishly, we stayed up late drinking beer.
South Siam 3, Donald Duck Bay, Similan Islands N8.66739 E97.64513 Elev. 16m! Donald Duck Bay, Similan Islands
Copyright 2003 Ian Fitchet. All rights reserved.